Challenges and Objective
The subject site is a former chemical plant that stored, repackaged, and distributed chemicals, including but not limited to hydrogen peroxide, methylisobutyl carbinol (MIBC), perchloroethylene (PCE), acetone, ethanol, and diesel fuel. A combination of ex-situ and in-situ remediation methods were selected in order to achieve the site cleanup goals.
The challenges for this project included a difficult geology (tight clays), a mixed contaminant plume, and source area level concentrations. The primary objective was to design a multi-year remedy that was affordable and effective. The initial plan to mitigate risk at the facility was to limit offsite plume migration. The remediation technologies being evaluated and implemented had to take into consideration longevity and efficiency to maximize available funding and installation opportunities.
Approach
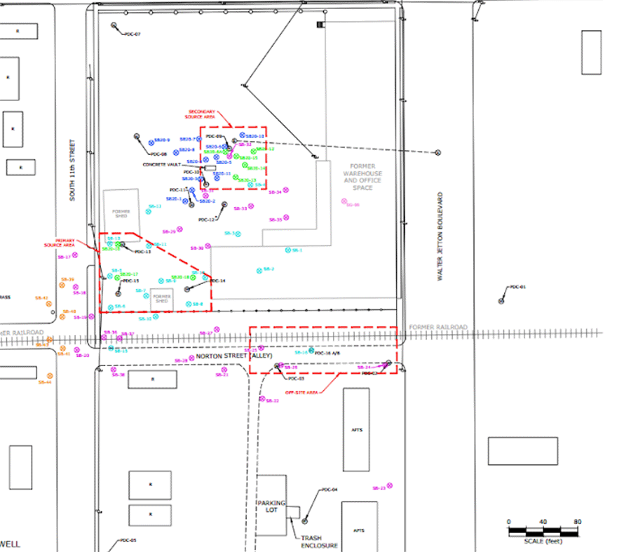
Forty-Four (44) RDC soil borings were advanced at the site; 880 soil and 95 groundwater samples were submitted to the RPI Project Support Laboratory. Analyses were performed pro bono. Based upon the RDC results, the initial remedy included shallow soil mixing (sodium persulfate) and BOS 100®. A second and third phase that included CAT 100 was implemented in Fall 2018 and Fall 2019.
Phase 1: 22,050 lbs of BOS 100® was applied into 233 injection locations from 20 to 40 ft bgs.
Phase 2: 6,700 lbs of sodium persulfate (lime activation) was blended into the shallow soils from grade to 4 ft bgs.
Phase 3: 9,000 lbs of CAT 100 was applied into 73 injection locations from 20 to 40 ft bgs.
Phase 4: 10,000 lbs of CAT 100 was applied into 71 injection locations from 20 to 40 ft bgs.
Results
Results from the RDC supported and verified that indiscriminate high-density sampling for quantitative analysis allowed for an efficient surgical treatment during remediation with predictable expectations. The soil and groundwater investigation also supported the existing conceptual site model (CSM) that indicated the contaminant plume was being geologically controlled by the low-permeability fat clays.
Chlorinated volatile organic compound (CVOC) concentrations in the down gradient monitoring well (PDC-3) have been reduced 95%. It is important to note that immediately following injection the concentration of PCE decreased (carbon adsorption). However, the reductions have maintained with time, indicating that the BOS 100® is managing the contaminant back diffusion from the soil matrix. Degradation end by-products ethylene and ethane remain elevated and support that abiotic contaminant reduction is occurring.
The original remediation strategy specified the use of BOS 100® for all phases of in-situ remediation. As each stage of the project was evolving, CAT 100 was being developed and was selectively implemented as a pilot study in the source area of the site. With the successes of mitigating dense non-aqueous phase liquid (DNAPL) impacts at sites where implemented, CAT 100 has been selected as the primary remedial strategy to further reduce source impacts remaining at the site. Phase 5 is to be completed in late 2020 or early 2021.


